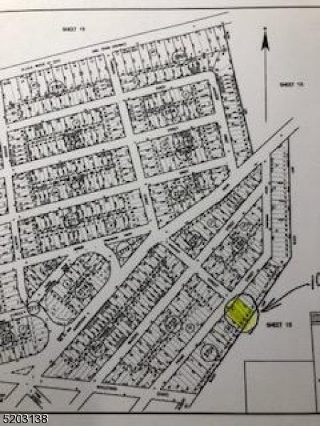
Frome Street, Mansfield Twp., NJ

$7,000

Previous Next

0.26

Acres

About Frome Street

Seller is selling as-is. Property has road frontage on FROME STREET, located in R-2 Zoning 22.000 square foot lot required. Buyer responsible for any variance, city water in area .

Features of Frome Street

MLS® # 3951790
Price $7,000
Acres 0.26
Type Land
Status Active

Community Information

Address Frome Street
City Mansfield Twp.
County Warren
State NJ
Zip Code 07865

School Information

Elementary MANSFIELD
Middle WARRNHILLS
High WARRNHILLS

Additional Information

Date Listed March 18th, 2025
Days on Market 230
Zoning RESIDENTIAL
HOA Fees 0.00

Listing Details

OfficeERA DUKE REALTORS
Contact Info908-689-3500

Listing Map

Request a Showing

Provide a valid email address.
When would you like to view this property?